Menos de
R$ 2.800.000
Veja imóveis

1 andar
-
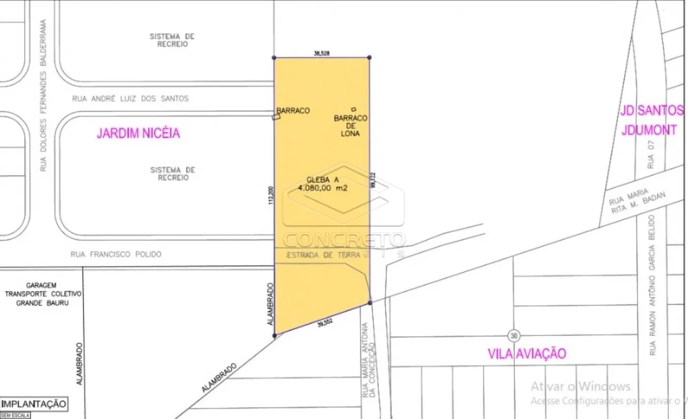
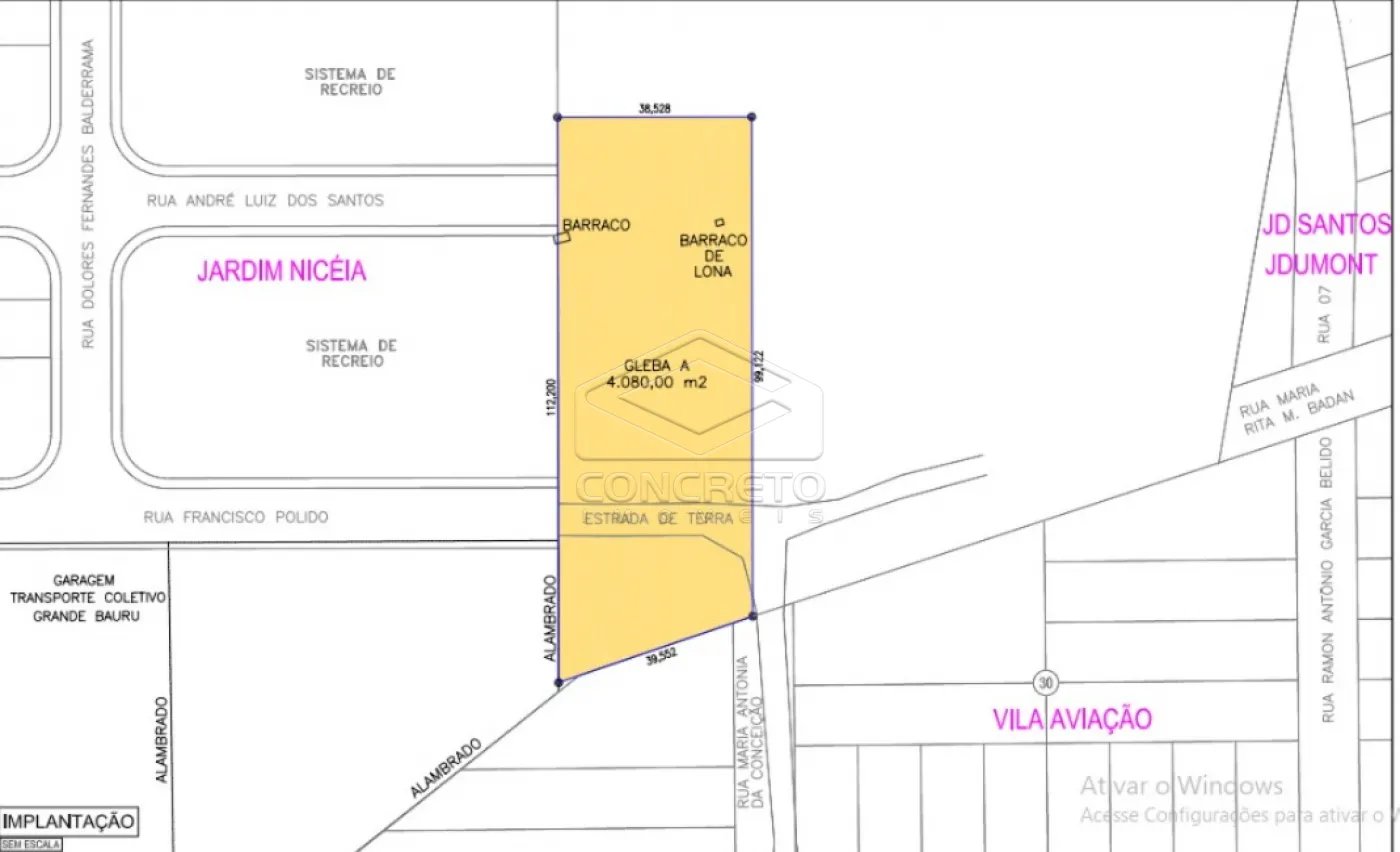
4080 m²
R$ 674 /m²
studio
sem suíte

Quer mais informações?
Fale com um de nossos especialistas.
ou consulte as
Dúvidas Frequentes
Imobiliária parceira
RCI FRANCHINSING & PARTICIPACOES LTDA
VENDA DE TERRENO - JARDIM NICÉIA Área com 4.080 m². Terreno diferenciado com acesso pela rua Francisco Polido.
Veja fotos do imóvel separadas por ambientes
Entenda o valor das parcelas para esse imóvel
Encontre mais imóveis em Jardim Nicéia
Algumas sugestões para te ajudar a encontrar o imóvel dos sonhos
Ainda não encontrou o que procurava? Confira esses outros imóveis à venda
Principais bairros em Bauru, SP
Principais bairros em Bauru, SP